新着情報
レントゲンがデジタルDRに進化しました!2025/10/20
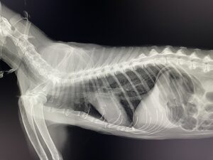
レントゲンがデジタルDRになりました!
今までフィルムが画像がきれいに撮れるということで、フィルムでの撮影を続けてきていたのですが、この度 デジタルのDRを導入することにしました。
DRは撮影からパソコンへ画像が映るまでにわずか5秒で出るという優れものであります。
画像も非常にきれいで 満足いく結果になっています。
獣医業界では最高クラスのピクセルサイズ(100μm 1500万画素)の細かさを誇る製品です。
より精度の高いレントゲン撮影が短時間でできるようになりました。
2025年10月3日 導入




